• Estadisticas de ligas
  • Mundial 2026
  • Champions League
  • Centroamérica
  • No Todo es Futbol
  • Segunda División
  • Torneo de Reservas
  • MLS
  • Futbol Mexicano
  • Fútbol femenino
  • Noticias del Mundo
  • Champions League
  • Legionarios
  • Especiales
  • PORTADA DIGITAL
  • ESCRIBE A DIEZ
header logo
  • Liga Hondubet
  • Internacionales
  • La Selección
  • Premios Diez
  • Fotogalerias
  • Videos
Estadísticaslogo Estadísticaslogo movil
Facebook header Twitter header Instagram header youtube header

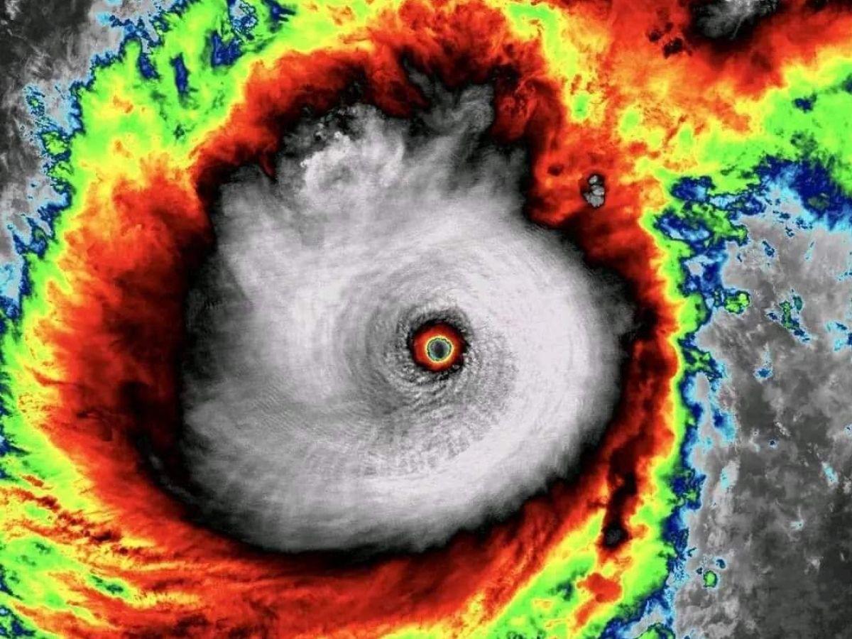
¡Sería el más destructivo en 100 años! Así se prepara Florida para el impacto del poderoso huracán Milton

Milton es considerado el tercer huracán en los últimos años en tomar una fuerza destructora de forma tan rápida, pues en cuestión de minutos alcanzó el máximo nivel.

2024-10-08
  • Redacción Diez
  • ¡Sería el más destructivo en 100 años! Así se prepara Florida para el impacto del poderoso huracán Milton
    1 / 20

    Residentes de Florida han evacuado, otros se han quedado para recibir el impacto y Biden, presidente de Estados Unidos, confirmó un terrible dato previo a la llegada del huracán Milton.

    Mario O. Figueroa
  • ¡Sería el más destructivo en 100 años! Así se prepara Florida para el impacto del poderoso huracán Milton
    2 / 20

    El presidente de Estados Unidos, Joe Biden, advirtió este martes que el huracán Milton podría ser el “peor” en golpear el estado de Florida en un siglo y pidió a las personas que se encuentran en la trayectoria de la tormenta que evacuen lo antes posible.

    Mario O. Figueroa
  • ¡Sería el más destructivo en 100 años! Así se prepara Florida para el impacto del poderoso huracán Milton
    3 / 20

    “Podría ser el peor huracán que azote Florida en más de un siglo y, Dios mediante, no lo será, pero eso parece ahora mismo”, declaró Biden a la prensa en la Casa Blanca

    Mario O. Figueroa
  • ¡Sería el más destructivo en 100 años! Así se prepara Florida para el impacto del poderoso huracán Milton
    4 / 20

    Los ciudadanos de Florida han tenido que salir de emergencia a otros lugares para resguardarse del potente huracán que llegaría este jueves.

    Mario O. Figueroa
  • ¡Sería el más destructivo en 100 años! Así se prepara Florida para el impacto del poderoso huracán Milton
    5 / 20

    Biden afirmó que el impacto de Milton, que se prevé que toque tierra el miércoles por la noche en la zona de la bahía de Tampa, en Florida, podría ser “devastador”.

    Mario O. Figueroa
  • ¡Sería el más destructivo en 100 años! Así se prepara Florida para el impacto del poderoso huracán Milton
    6 / 20

    Los supermercados lucen vacíos ante las compras exhaustivas de los residentes que viven en Florida.

    Mario O. Figueroa
  • ¡Sería el más destructivo en 100 años! Así se prepara Florida para el impacto del poderoso huracán Milton
    7 / 20

    Esta imagen se volvió viral en redes sociales. ¡Parece foto de película!

    Mario O. Figueroa
  • ¡Sería el más destructivo en 100 años! Así se prepara Florida para el impacto del poderoso huracán Milton
    8 / 20

    El Centro Nacional de Huracanes (NHC, en inglés) de Estados Unidos advirtió en su boletín de las 11:00 hora local (15:00 GMT) que “hoy es el último día para que los residentes de Florida se preparen” en sus hogares o evacúen las zonas señaladas, si así lo indican las autoridades locales.

    Mario O. Figueroa
  • ¡Sería el más destructivo en 100 años! Así se prepara Florida para el impacto del poderoso huracán Milton
    9 / 20

    El Tropicana Field, casa de los Rays de Tampa Bay, hicieron un pequeño albergue para los residentes que salgan afectados del huracán.

    Mario O. Figueroa
  • ¡Sería el más destructivo en 100 años! Así se prepara Florida para el impacto del poderoso huracán Milton
    10 / 20

    Milton, un huracán que se fortaleció en tiempo récord en el golfo de México hasta alcanzar la categoría 5, la mayor en la escala Saffir-Simpson, se rebajó hoy a la categoría 4 y se espera que su centro toque tierra el miércoles por la noche cerca de la bahía de Tampa, en el condado de Hillsborough (costa oeste de Florida).

    Mario O. Figueroa
  • ¡Sería el más destructivo en 100 años! Así se prepara Florida para el impacto del poderoso huracán Milton
    11 / 20

    Los bulevares más importantes de Florida lucen a tope ante las salidas de emergencia de los residentes de la Florida.

    Mario O. Figueroa
  • ¡Sería el más destructivo en 100 años! Así se prepara Florida para el impacto del poderoso huracán Milton
    12 / 20

    “Insto a todos los que se encuentren en la trayectoria del huracán Milton, a que escuchen a las autoridades locales y sigan las medidas de seguridad. Si están bajo órdenes de evacuación, deben evacuar ahora mismo. Deberían haber evacuado ya. Es una cuestión de vida o muerte, y no es una exageración”, afirmó Biden.

    Mario O. Figueroa
  • ¡Sería el más destructivo en 100 años! Así se prepara Florida para el impacto del poderoso huracán Milton
    13 / 20

    A pesar de avanzar a miles de kilómetros de Honduras, el huracán Milton, que ya ha alcanzado la categoría 5, afectará de manera indirecta el territorio nacional.

    Mario O. Figueroa
  • ¡Sería el más destructivo en 100 años! Así se prepara Florida para el impacto del poderoso huracán Milton
    14 / 20

    Según los pronósticos del Centro de Estudios Atmosféricos, Oceanográficos y Sísmicos (Cenaos), desde hoy comenzarán a presentarse lluvias de leves a moderadas, pero será hasta el jueves cuando se reporten los mayores acumulados de precipitaciones.

    Mario O. Figueroa
  • ¡Sería el más destructivo en 100 años! Así se prepara Florida para el impacto del poderoso huracán Milton
    15 / 20

    Francisco Argeñal, director de Cenaos, explicó que se experimentarán efectos indirectos debido a la circulación de los vientos y al acercamiento de la Zona de Convergencia Intertropical (ITCZ, por sus siglas en inglés.

    Mario O. Figueroa
  • ¡Sería el más destructivo en 100 años! Así se prepara Florida para el impacto del poderoso huracán Milton
    16 / 20

    En Florida se viven momentos de tensión ante la llegada del huracán Milton.

    Mario O. Figueroa
  • ¡Sería el más destructivo en 100 años! Así se prepara Florida para el impacto del poderoso huracán Milton
    17 / 20

    Algunos ciudadanos han optado por colocar madera para soportar los embates del huracán Milton.

    Mario O. Figueroa
  • ¡Sería el más destructivo en 100 años! Así se prepara Florida para el impacto del poderoso huracán Milton
    18 / 20

    Advierten que Milton podría ser el peor huracán en golpear Florida en 100 años

    Mario O. Figueroa
  • ¡Sería el más destructivo en 100 años! Así se prepara Florida para el impacto del poderoso huracán Milton
    19 / 20

    Los residentes del estado de la Florida salieron de emergencia para no sufrir los fuertes golpes que producirá el huracán Milton.

    Mario O. Figueroa
  • ¡Sería el más destructivo en 100 años! Así se prepara Florida para el impacto del poderoso huracán Milton
    20 / 20

    Milton es considerado el tercer huracán en los últimos años en tomar una fuerza destructora de forma tan rápida, pues en cuestión de minutos alcanzó el máximo nivel.

MAS FOTOGALERIAS
Futbolista, campeón del mundo con Argentina, lanza guiño al Real Madrid y alimenta los rumores sobre su futuro. Está en la agenda de la directiva merengue para el mercado de fichajes.
Fotogalerias

Costó 121 millones y envía cotundente mensaje al Real Madrid para que lo fiche: "Me gusta mucho"

Honduras juega contra Perú en Madrid, España, este martes por la fecha FIFA de marzo
Fotogalerias

¡Las sorpresas de Paco Molina! La alineación que sacaría Honduras en el debut del español contra la Selección de Perú

Hansi Flick no se duerme en sus laureles en el Barcelona y ya pone su mirada en el próximo mercado, recibiendo el sí de un fichaje que gusta y que necesita para la siguiente temporada. Pero, hay un problema...
Fotogalerias

Golpe para Hansi Flick: Barcelona tenía todo acordado para ficharlo, pero todo se vino abajo por frustrante motivo

Honduras y Perú se enfrentan este martes 31 de marzo en el estadio Municipal de Butarque en Leganés, España. Fotos Mario Figueroa y Eduardo Solano.
Fotogalerias

Selección de Honduras se despide de la sede del Atlético de Madrid y palpitan el juego contra Perú ¿Lesionados?

Mientras se disputaba un amistoso entre Olimpa y Motagua, dos jugadores fueron expulsados por una dura pelea a puño limpio. FOTOGRAFÍAS: Créditos Marco Fonseca y Mauricio Ayala.
Fotogalerias

¡Bochorno en New Orleans! Argentino Agustín Mulet y Riky Zapata se pelean a puño limpio en un amistoso Olimpia-Motagua

Domingo histórico se vivió en el Tad Gormley Stadium de la ciudad de New Orleans, Estados Unidos, se desarrollaron los clásicos capitalino y sampedrano. Fotos Mauricio Ayala y Marco Fonseca.
Fotogalerias

New Orleans se convirtió en la capital del fútbol de Honduras: Olimpia, Motagua, Real España y Marathón fueron arropados

Este martes 31 de marzo se juegan los 6 repechajes donde 12 selecciones buscan esos últimos 6 boletos al Mundial 2026.
Fotogalerias

Repechajes: La sorpresa está a las puertas de su primer Mundial y nación se ha perdido los últimos 5 mundiales

El Inter Miami va por él: Fabrizio Romano confirma la propuesta de las Garzas y exReal Madrid postula para ser nuevo compañero de Lionel Messi.
Fotogalerias

Fabrizio Romano se lo confirma a Messi y sorprende al Real Madrid: "Está abierto a ir, es un proyecto personal"

logo header

TODOS LOS DERECHOS RESERVADOS ® 2025

NUESTRAS SECCIONES
  • Liga Hondubet
  • Internacionales
  • La Selección
  • Premios Diez
  • Fotogalerias
  • Videos
GRUPO OPSA
  • LAPRENSA.HN
  • ELHERALDO.HN
  • GOTV
SOBRE NOSOTROS
  • Servicio Al Usuario
  • Politicas de Privacidad
  • Suscribete
  • Mapa del sitio
Síguenos en
Facebook footer instagram footer instagram footer youtube footer
PORTADA DIGITAL
Honduras inicia un nuevo sueño
Nuestras Apps
 google play logo app IOS diez