Noticias del Mundo

Huracán Eta se degrada y pasa a ser categoría 2 tras ingresar a Nicaragua

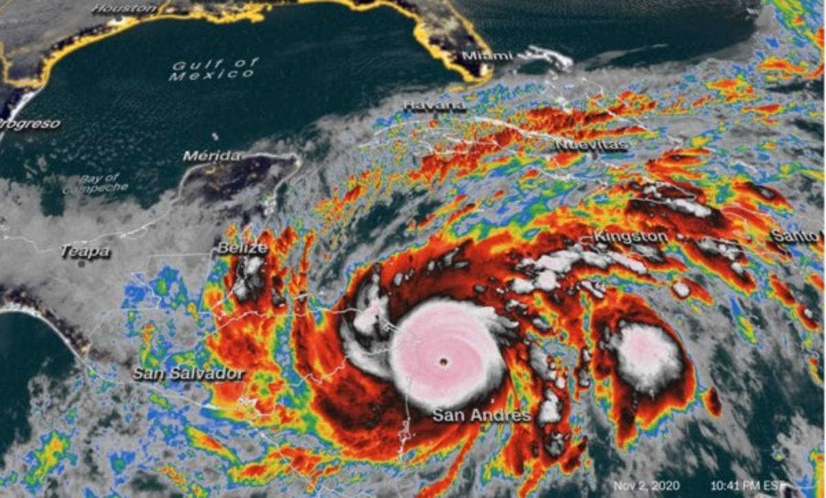
El huracán Eta pasó de ser categoría 4 a 2 en las últimas horas, así lo confirmó Copeco.

2020-11-03

El huracán Eta ha disminuido su intensidad en las últimas horas y ha pasado de ser categoría 4 a 2. Esto lo ha confirmado Copeco quien ha detallado que “actualmente se encuentra ubicado a unos 282 kilómetros al Sureste de Catacamas, Olancho, manteniendo su velocidad de desplazamiento a una velocidad de 07 Km/h, sobre Nicaragua, registrando vientos 175 Km/h”.

El fenómeno tocó suelo nicaragüense este día y eso le quitó fuerzas. Con vientos sostenidos de hasta 240 km/h, el huracán Eta impactó este martes en el noreste de Nicaragua y llegará a Honduras en las próximas horas y otros países de Centroamérica y el Caribe.

VER: SE LE INUNDA LA CASA A JUGADOR DEL VIDA POR CULPA DE ETA

Eta tardó solo 24 horas en pasar de ser una tormenta tropical a convertirse en un huracán de categoría 4 el lunes.

El Centro Nacional de Huracanes de Estados Unidos (NHC, por sus siglas en inglés) alertó de fuertes marejadas y vientos, inundaciones catastróficas y deslizamientos de tierra que entrañan peligros mortales.

Sin embargo, el organismo informó en la tarde del martes que Eta se había debilitado a categoría 2, con vientos máximos de 175 km/h. Además de la alerta de huracán, el NHC también emitió un aviso por tormenta tropical para la costa noreste de Honduras.

En Honduras se decretó alerta roja en siete departamentos y verde en los restantes departamentos de la nación, el fenómeno natural hizo que el Gobierno cancelara el Feriado Morazánico y buscará reprogramarlo en otro momento.

LO QUE INFORMÓ COPECO ESTE DÍA: