Noticias del Mundo

Cantidad de agua, peligros y lo que debes saber sobre el Huracán Iota en Categoría 5

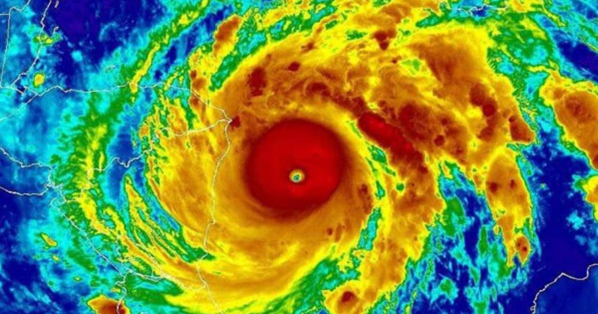
El Huracán Iota alcanzó la más alta categoría de peligrosidad y se esperan resultados catastróficos en su paso por Honduras.

2020-11-16

Honduras afronta un inminente peligro por el paso del Huracán Iota, convertido en categoría 5, la mayor en cuanto a peligrosidad. Esto podría tener resultados catastróficos en cuanto a daños en infraestructura, deslizamientos e inundaciones.

El país apenas se está reponiendo del desastre ocasionado por la Tormenta Eta, que dejó miles de damnificados y muertos, y ahora tendrá que soportar con lo que este poderoso fenómeno natural amenaza el territorio nacional.

Las zonas de más alto riesgo a inundaciones por el Huracán Iota en Honduras

Pero, ¿por qué ocurren estos ciclones?, ¿de dónde provienen los nombres?, ¿cómo se determina la categoría de los huracanes?.

Existen muchas interrogantes sobre el Huracán Iota y el resto de tormentas, y aquí respondemos a algunas de las preguntas. Además, la peligrosidad de las lluvias y vientos, y el momento en que terminará.

Temporada de Huracanes

Hasta ahora han habido 30 tormentas tropicales con nombre en la temporada de huracanes en 2020, de las cuales 13 han sido huracanes y de estos, seis han sido catalogados como mayores.

¿Cómo se nombran?

Para nombrar los fenómenos tropicales en cada temporada, existe un procedimiento estricto establecido por la Organización Meteorológica Mundial. Para los huracanes del Atlántico, hay una lista de nombres masculinos y femeninos que se utilizan en una rotación de seis años. En el caso que ocurran más de 21 ciclones tropicales con nombre en una temporada (como en el año 2020), cualquier tormenta adicional tomará nombres de las letras del alfabeto griego.

¿Qué significa Iota?

Es el nombre de la novena letra del alfabeto griego. La iota es una vocal que se transcribe como la ‘i’ latina.

Foto: Diez

Así se determinan las categorías de los huracanes.

Cantidad de agua

Además de generar vientos dañinos, Iota podría dejar hasta 30 pulgadas (750 milímetros) de lluvia en Honduras, el norte de Nicaragua, el este de Guatemala y el sur de Belice hasta el jueves.

Otros peligros

El azote del viento y las lluvias del Huracán Iota, provocará que la peligrosa marejada ciclónica eleve el mar hasta unos 20 pies, seis metros por encima de su nivel normal.

¿Qué pasa después?

Una vez que el Huracán Iota toque tierra, iniciará su debilitación porque ya no tienen el agua cálida del océano para obtener energía. Sin embargo, siguen siendo peligrosos y pueden causar mucho daño. Su disipación será hasta aproximadamente el jueves de esta semana.