Noticias del Mundo

La advertencia del Centro Nacional de Huracanes de EUA ante el desastre que provocaría Iota en Honduras

El centro estadounidense, con base en Miami, alertó que hoy domingo es el último día para prepararse ante las inminentes inundaciones.

2020-11-15

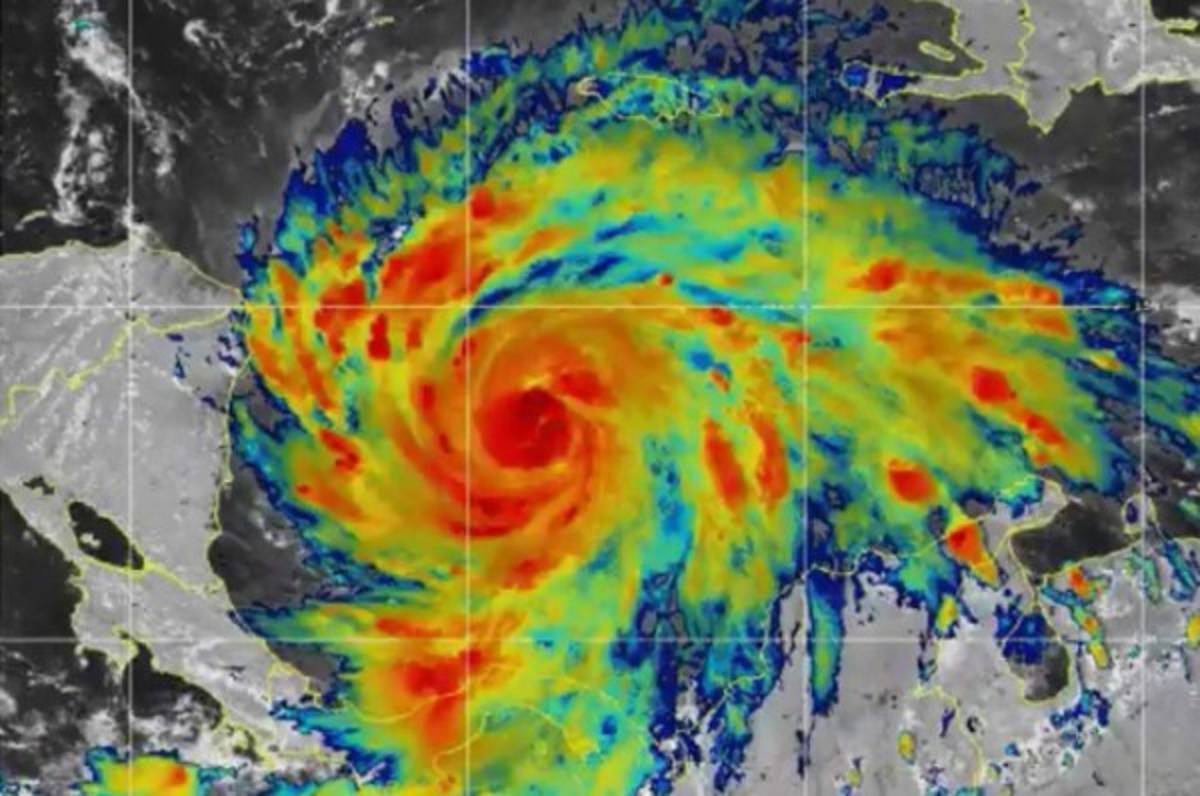
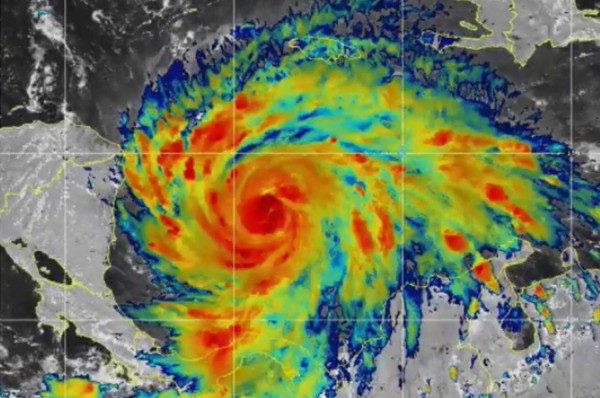
El huracán Iota, de categoría 1, avanza lentamente este domingo por el Caribe hacia Centroamérica, donde las autoridades evacuaron a miles de personas para minimizar los daños, en una región aún devastada por el reciente paso del ciclón Eta.

El video más triste de los efectos de Eta por Honduras

Las proyecciones del Centro Nacional de Huracanes (CNH) de Estados Unidos indican que Iota podría tocar tierra el lunes por la tarde en el litoral Caribe entre Nicaragua y Honduras, siguiendo un rumbo similar al de Eta, que a inicios de este mes dejó más de 200 muertos y 2,5 millones de afectados por inundaciones y deslaves.

Iota podría llegar a convertirse en un potente huracán categoría 4, similar al anterior ciclón, según el CNH: ''Se espera que mañana se convierta en un huracán de categoría 4 extremadamente peligroso y toque tierra en el noreste de Nicaragua o el este de Honduras. Los preparativos para proteger la vida y la propiedad deben completarse rápidamente en las áreas de advertencia de huracán''.

Las autoridades metereológicas de Nicaragua prevén que el nuevo ciclón impacte entre el Cabo Gracias a Dios, en la frontera con Honduras, y Prinzapolka, más al sur, cerca de la ciudad de Bilwi.

Hondureños no abandonan a sus animales durante el paso de Eta

El CNH advirtió que las fuertes lluvias provocadas por el huracán podrían causar inundaciones repentinas y crecidas de ríos en Centroamérica y el norte de Colombia.

''Inundaciones y deslaves en Honduras y Nicaragua podrían verse exacerbados por los recientes efectos del huracán Eta'' con un impacto 'potencialmente catastrófico'', pronosticó el centro estadounidense.

Evacuación por Iota

En Honduras, policías y militares desalojan en lanchas y helicópteros, por segundo día consecutivo, a decenas de miles de pobladores en el Valle de Sula, en las proximidades de San Pedro Sula ante inminentes inundaciones.

La Comisión Permanente de Contingencias (Copeco) alertó en un comunicado que la cercanía de Iota ''incrementa el riesgo de inundación y deslizamientos sobre todo en las zonas que fueron impactadas por Eta'', que sorprendió a los pobladores con las crecidas de los caudalosos ríos Ulúa, Chamelecón y Humuya y una rede afluentes menores.

''Hoy es tu último día garantizado para prepararte, ya que es probable que las condiciones de tormenta tropical comiencen el lunes por la mañana en las costas de Honduras y Nicaragua. ¡Esta es una situación extremadamente peligrosa y se espera que Iota sea de categoría 4 al tocar tierra!'', cerró el CNH.