Noticias del Mundo

Huracán Iota se debilita al tocar tierra y pasa a Categoría 1; siempre dejará intensas lluvias en Honduras

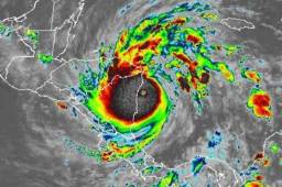
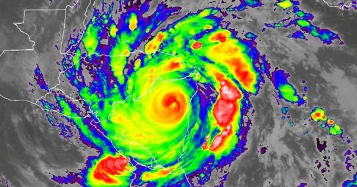
Huracán Iota avanza por América Central algo debilitado tras tocar tierra en Nicaragua.

2020-11-17

El huracán Iota avanzaba este martes con intensas lluvias y fuertes vientos hacia el interior de Centroamérica, una zona devastada hace dos semanas por el ciclón Eta, tras haber perdido algo de fuerza y pasar a Categoría 1 al tocar tierra el lunes en el Caribe norte de Nicaragua.

Más fuerte que su predecesor, Iota llegó a tierra como huracán de categoría 5 con vientos máximos de 260 km/h hora, dijo en un informe el Centro Nacional de Huracanes (NHC), pero al tocar tierra comenzó a perder fuerza.

'El huracán Iota se debilita rápidamente sobre el noroeste de Nicaragua', afirmó el NHC en su último parte, advirtiendo de todos modos que se espera que traiga 'vientos catastróficos, una marejada ciclónica amenazante para la vida y lluvias torrenciales'.

Iota sigue la misma trayectoria que el huracán Eta, que dejó más de 200 muertos y desaparecidos en América Central. Unos 2,5 millones de personas resultaron afectadas por el paso de Eta, según estimaciones oficiales.

Eta y IOTA, dejarán a la región de Centroamérica más pobre que nunca.

Los fuertes vientos y los aguaceros inundaron los barrios bajos de Bilwi, que quedó sin electricidad horas antes de la embestida de Iota, observaron periodistas de AFP en el lugar.

Miles de pobladores fueron trasladados a albergues, mientras otros quedaron en sus frágiles viviendas de madera.

'El viento está demasiado fuerte, se llevó todo, el techo y las ventanas de madera de mi casa, que es de concreto. Tuve que salir a otra casa vecina', relató a la AFP Jessi Urbina, vecina del barrio El Muelle, en Bilwi.

Habitantes de la zona aseguraron que el viento arrancaba techos de las casas 'como si fueran de cartón'.

- Miles evacuaron -

Miles de personas fueron llevadas a albergues en América Central, mientras los gobernantes de la región acordaron formar un frente común para solicitar recursos internacionales que les ayuden a hacer frente a los daños causados por los dos huracanes.



Honduras, Nicaragua y Guatemala realizan evacuaciones desde la semana pasada, y el huracán afecta también a Panamá y a la isla colombiana de Providencia, que quedó incomunicada.

Al menos una persona murió en Providencia donde destruyó cerca del 98% de su infraestructura, informó el presidente colombiano Iván Duque en Twitter.

La temporada de huracanes en el Atlántico ha batido récords. Iota es la decimotercera de las 30 tormentas con nombre registradas este año que alcanza la categoría de huracán, lo que obligó a usar el alfabeto griego.

- Honduras espera lluvias -

Las lluvias provocadas por Iota también azotaron al Caribe hondureño, y se espera que el martes caigan aguaceros en Tegucigalpa, donde barriadas pobres en los cerros de la capital están en riesgo.

La Fuerza Aérea de Honduras anticipó fuertes lluvias en la capital y en la norteña San Pedro Sula, capital industrial del país fuertemente golpeada por Eta.

Tanto Honduras como Nicaragua sufrieron los peores impactos de los últimos huracanes en áreas aisladas y pobres.

En Nicaragua los pobladores buscaban cómo fortalecer sus viviendas ante la llegada de Iota.

El noreste de Nicaragua, una región extensa y poco poblada, con habitantes de las etnias miskito, sumos, garífunas, además de creole y mestizos, sufrió el impacto de Iota sin haber terminado de asimilar los efectos del huracán Eta.

En Honduras, Iota provocó rachas de vientos y fuertes lluvias en los departamentos orientales de Gracias a Dios -de población miskita-, Colón, norte de Olancho y parte de Atlántida, según la estatal Comisión Permanente de Contingencias (Copeco).

Según medios locales, más de 175.000 personas habían sido evacuadas desde el sábado, especialmente en zonas inundadas durante el azote de Eta en el Valle de Sula, cerca de San Pedro Sula.