Noticias del Mundo

Iota toca tierra en Nicaragua como huracán en categoría 5: ''Es el más potente que tenemos registrado''

El fenómeno natural comenzó a hacer desastres en el Caribe Norte de Nicaragua, según anunciaron las autoridades.

2020-11-16

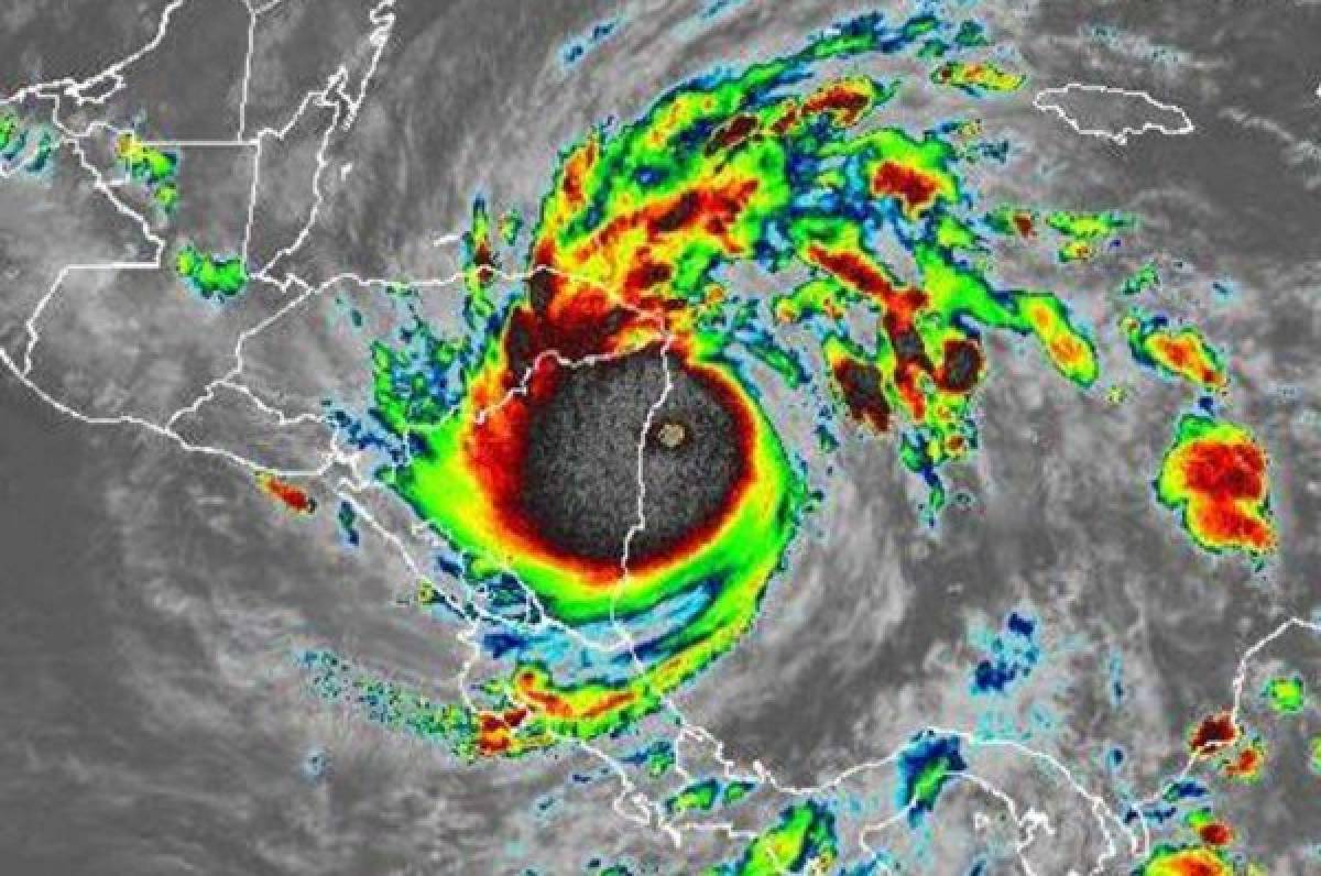
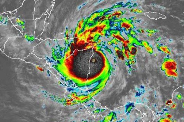
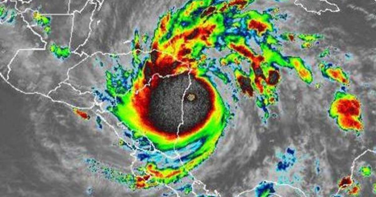
Iota tocó tierra este lunes en la costa del Caribe Norte de Nicaragua como huracán de categoría máxima, acompañado de catastróficos vientos, lluvias y marejadas, informó una fuente oficial.

Las zonas de más alto riesgo ante la llegada de Iota en Honduras

'Este potente huracán Iota ya está en la parte delantera, ya está en tierra. En este momento el ojo del huracán se encuentra ya tocando el límite de la costa de Haulover', en el Caribe, dijo en rueda de prensa Marcio Baca, director de meteorología de Instituto Nicaragüense de Estudios Territoriales (Ineter).

Iota llegó al litoral centroamericano como huracán de categoría 5, dejando potentes rachas de vientos y lluvias en las comunidades costeras de Haulover, Prinzapolka, Karawala y Wouhnta, así como Bilwi, principal ciudad del Caribe Norte, donde los fuertes vientos arrancaban techos y estremecían los árboles.

Bilwi, con más de 40.0000 habitantes, en su mayoría de origen indígena, recibió la furia del ciclón en medio de la oscuridad por la interrupción del suministro eléctrico, con muchos pobladores resguardados en casas de concreto mientras otras quedaron esperando en sus frágiles viviendas de madera.

''Honduras necesitará mucha ayuda humanitaria tras Iota''

El funcionario también indicó que los vientos sostenidos del ciclón tienen una velocidad máxima de 260 kph y que 'esto lo convierte ya en el huracán más potente que ha tocado tierras nicaragüenses desde que nosotros tenemos registros de ciclones tropicales. El huracán anterior fue Joan”.

Iota es el segundo huracán de gran potencia en azotar el Caribe Norte de Nicaragua en dos semanas, después de que Eta impactara el pasado 3 de noviembre.