Noticias del Mundo

Una nueva tormenta tropical se formaría tras el huracán Iota y entraría a Centroamérica

Kappa es el nombre del nuevo fenómeno natural que podría llegar a Centroamérica en los próximos días.

2020-11-15

Un nuevo fenómeno climatológico está en formación en la zona central del mar Caribe, en este momento es una zona de baja presión, pero se espera que durante la semana evolucione para convertirse el próximo fin de semana en la tormenta tropical Kappa, la 31 de un año extraordinario, informó este domingo el Centro de Huracanes de Miami, Florida.

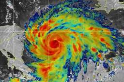
Por ahora el Centro Nacional de Huracanes está alertando sobre el huracán Iota, ubicado sobre el suroeste del Mar Caribe aproximándose peligrosamente a las costas de Honduras y Nicaragua, y ha emitido el último aviso sobre el ciclón Theta, ya pos tropical, situado sobre el Océano Atlántico nororiental.

VER: EN REDES SOCIALES PIDEN QUE FABIÁN COITO DEJE LA SELECCIÓN

Sin embargo, el agua del mar Caribe sigue mostrando anomalías de altas temperaturas, a pesar del paso de Eta, a inicios de este mes de noviembre, y ahora Iota, debido a que las profundidades superficiales siguen cálidas generando condiciones óptimas para que Kappa, una nueva onda tropical caribeña, emerja a la vista como un posible huracán.

En la actualidad es una zona de bajas presiones que evoluciona en el sector central o suroeste del Mar Caribe y de progresar se espera sea un sistema de lento desarrollo que, para finales de esta semana que inicia, avance lentamente hacia el oeste a través del suroeste del mar Caribe, una ruta parecida a la que inicialmente siguieron Eta e Iota

La probabilidad de que en los próximos dos días se forme una de depresión tropical es baja o nula; aumenta de baja a 20 por ciento en un plazo extendido de cinco días. Las apariencias son bajas, pero la estación de huracanes 2020 luce frenética y si se forma Kappa sería la 31 tormenta tropical, superando en tres el récord anterior de 2005.

LO QUE SE INFORMA EN REDES: